


Avec des projets implantés, localisés à Lorgues au cœur de la Provence, notre bureau d’architecte à Lorgues façonne chaque réalisation comme une œuvre unique, où la lumière dialogue avec l’espace et où chaque ligne esquissée promet une harmonie subtile entre fonction et émotion. Restaurer une demeure ancienne, imaginer une extension ou donner vie à une création contemporaine : notre bureau d’ architecte à Lorgues accompagne habitants et professionnels dans une aventure sur mesure, du premier rêve à la concrétisation.
De l’éveil des premières esquisses à la précision des plans 3D, notre atelier d’ architecte à Lorgues insuffle la même attention à chaque détail, afin de construire des lieux durables, vivants, porteurs de l’identité de ceux qui les habitent.
Connaissant intimement le tissu local, ses contraintes et ses richesses, notre agence d’ architecte à Lorgues transforme ce paysage en matière vivante et véritable source d’inspiration. Chaque maison, chaque commerce, chaque espace intérieur ou extérieur devient alors une création singulière, sculptée selon vos envies et vos besoins. Qu’il s’agisse d’une déclaration préalable, d’un cahier des charges ou d’un permis de construire, notre bureau d’ architecte à Lorgues traduit vos idées en espaces imprégnés de poésie et enracinés dans la beauté naturelle de la région.L’expérience de de notre bureau d’ architecte à Lorgues se déploie à travers la diversité des réalisations : restauration de demeures de caractère, conception de villas contemporaines, aménagements de cafés, hôtels et restaurants, ou encore métamorphose de bureaux et d’espaces médicaux. Chaque projet devient une rencontre, chaque lieu une empreinte qui reflète vos aspirations et magnifie son environnement.
(Ci-dessus une maison dont le permis de construire a été réalisé par notre agence d'architecte, projet route de Draguignan, 83510 Lorgues)
Animé par une quête d’excellence et la passion de bâtir, notre bureau d’ architecte à Lorgues imagine chaque projet comme un poème de pierre et de lumière, un dialogue intime entre matière, paysage et mémoire du lieu. Plus qu’un simple permis de construire, notre agence d’ architecte à Lorgues défend l’art de bâtir avec grâce, conjuguant innovation et respect du patrimoine, rigueur technique et élégance intemporelle.
Ancré dans le territoire de Lorgues, attentif à son identité et à ses subtils équilibres, notre bureau d’ architecte à Lorgues signe des œuvres singulières qui savent écouter vos besoins avant de les déployer en espaces de vie, de partage et de transmission. Chaque création porte en elle le souffle du présent tout en s’ouvrant vers l’avenir.
Qu’il s’agisse d’agrandir une maison, de créer une extension lumineuse ou de réinventer des espaces pour plus de confort et de fluidité, notre agence d’ architecte à Lorgues accompagne vos envies et les transforment en réalités concrètes. À Lorgues et dans ses environs, notre expérience et notre savoir-faire façonnent des projets sur mesure, pensés dans le respect des contraintes locales et des aspirations personnelles.
Depuis la première esquisse jusqu’à la remise des clés, notre bureau d’ architecte à Lorgues guide chaque étape de votre aventure architecturale, veillant à ce que l’extension ou la rénovation se déploie dans la sérénité. Notre mission : révéler le potentiel caché de votre patrimoine, ouvrir vos intérieurs à la lumière, redonner souffle et harmonie à vos lieux de vie.
Confier votre projet à notre cabinet d’ architecte à Lorgues, c’est choisir un regard attentif, une écoute créative et une maîtrise complète des démarches administratives, du permis de construire aux déclarations préalables. C’est aussi l’assurance d’un projet porté par la passion, façonné pour durer, et tourné vers la beauté de chaque instant vécu.
(Ci-dessus Route de Draguignan, 83510 Lorgues, le terrain comportant des arbres sans construction, où notre agence d'architecte à réalisée à Lorgues le projet que vous voyez sur l'image juste au dessus)
Construisez votre projet avec une agence d’architecte à Lorgues, partenaire visionnaire de vos rêves et de votre bâtiment. Ici, chaque esquisse devient promesse, chaque ligne se transforme en horizon, et notre agence d’architecte à Lorgues vous accompagne dans la naissance d’œuvres uniques qui marient émotion et modernité.
Ancré dans le cœur du territoire, notre atelier d’architecte à Lorgues puise son inspiration dans la lumière provençale et le caractère des paysages pour façonner des architectures singulières. Qu’il s’agisse de maisons intelligentes, de villas design, d’immeubles connectés ou d’espaces commerciaux créatifs, notre agence d’architecte à Lorguesdéploie une expertise précise et attentive, alliée aux technologies les plus avancées. De la conception numérique au suivi rigoureux du chantier, chaque étape est pensée dans l’excellence et guidée par un accompagnement humain et transparent.
Face aux exigences nouvelles et à la transition vers des bâtiments durables et intelligents, notre bureau d’architecte à Lorguesanticipe l’avenir. Normes environnementales, performance énergétique, matériaux respectueux et solutions connectées deviennent la palette avec laquelle notre bureau dessine les habitats de demain. Ainsi, chaque projet à Lorgues incarne la rencontre entre innovation, poésie et respect du vivant.
Reconnu pour notre savoir-faire, confirmé par de nombreux permis de construire et déclarations préalables, notre atelier d’architecte à Lorguess’affirme comme un acteur essentiel d’une architecture responsable et visionnaire. Confiez-nous vos ambitions les plus audacieuses : notre cabinet d’architecte à Lorgues donnera forme à vos envies dans des lieux pérennes, inspirés et rayonnants.
Localisation map de la Route De Draguignan, 83510 Lorgues, où nous avons conçu la maison visible sur la première photo de cette page
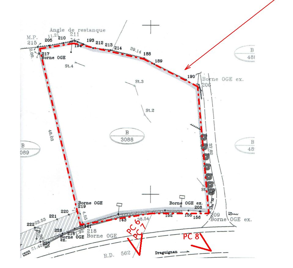
(Ci-dessus le plan de masse du terrain qui était existante Route De Draguignan à Lorgues, où notre agence d'architecte à défini les plans et permis de construire de la maison visible sur la première photo de cette page)
Au cœur de la Provence verte, Lorgues (83510) s’élève comme une cité vibrante d’histoire et de lumière. Ses ruelles pavées serpentent entre maisons médiévales et bastides colorées, ses placettes animées accueillent marchés, fontaines sculptées et terrasses ombragées. Ici, chaque pierre raconte un héritage, chaque façade porte la trace des siècles, et c’est au détour d’une montée ou d’une venelle que se révèlent les perspectives sur les collines boisées, les vignobles et les oliveraies environnantes.
Dans cette composition où s’entrelacent patrimoine et paysage, l’architecte à Lorgues trouve une matière vivante pour nourrir sa créativité. Héritier d’un savoir-faire ancestral mais ouvert aux innovations contemporaines, l’architecte à Lorgues s’attache à faire dialoguer passé et présent. Une bastide en restauration, une maison de village à réinventer, une villa contemporaine ouverte sur la nature : chaque projet devient une rencontre entre authenticité et modernité, inscrit dans le tissu provençal.
La monumentalité de la collégiale Saint-Martin, joyau gothique du XIVe siècle, témoigne de l’ambition architecturale qui habite Lorgues depuis toujours. À son ombre, les hôtels particuliers, les vieux moulins et les demeures bourgeoises gardent la mémoire d’un terroir prospère. Un architecte à Lorgues, dans la continuité de cette histoire, transforme ce patrimoine bâti en espaces de vie adaptés aux usages actuels, attentif à valoriser la singularité de chaque lieu.
Mais Lorgues n’est pas qu’un héritage figé : c’est une ville tournée vers l’avenir, où la vitalité économique s’exprime à travers ses commerces, ses domaines viticoles, ses équipements culturels et ses initiatives locales. Dans ce contexte, un architecte à Lorgues accompagne le mouvement en concevant des projets innovants : extensions de maisons, lotissements intégrés aux reliefs, espaces publics repensés, lieux de convivialité qui renforcent le lien social. Entre technicité et créativité, notre bureau d’architecte à Lorgues insuffle une énergie nouvelle, en harmonie avec les paysages et la mémoire collective.
La mission d’un architecte à Lorgues va au-delà du simple geste architectural. Il conçoit des lieux durables, respectueux de l’environnement et des normes énergétiques actuelles, tout en préservant l’âme des villages de Provence. Il sculpte la lumière, ouvre les espaces intérieurs vers les collines, valorise les matériaux naturels pour inscrire chaque maison, chaque commerce ou chaque place dans la continuité sensible du territoire.
Ainsi, qu’il s’agisse d’un permis de construire pour une villa contemporaine, d’une déclaration préalable pour valoriser une maison de village, ou d’un projet d’aménagement plus vaste en plein cœur de Provence, notre bureau d’architecte à Lorgues est l’artisan d’une vision : bâtir avec respect, imaginer avec audace, transmettre avec justesse. Sa démarche est à la fois poétique et concrète, tournée vers la beauté comme vers l’usage, afin que chaque construction devienne un lieu de vie singulier, porté par l’histoire et ouvert à demain.
(Ci-dessus notre agence d'architecte a créée le permis de construire de cet maison route de Draguignan à Lorgues 83510. Maison de plain-pied, en ossature bois.)
I) L’art de bâtir avec un architecte à Lorgues
Notre agence d’architecte à Lorgues façonne des projets uniques, où chaque construction neuve, chaque extension, chaque rénovation ou réhabilitation devient une rencontre entre modernité et mémoire provençale. Spécialiste du permis de construire et des programmes immobiliers mixtes, notre bureau d’architecte à Lorgues inscrit chaque idée dans la lumière du territoire, reliant technicité et poésie, rigueur et inspiration.
II) Champ d’intervention
Notre agence d’architecte à Lorgues propose un accompagnement global, une aventure maîtrisée de la première esquisse jusqu’à la livraison des ouvrages :
1)Phase de conception
-Études de faisabilité et programmation éclairées par le regard sensible de notre bureau d’architecte à Lorgues
-Avant-Projet Sommaire (APS) et Avant-Projet Définitif (APD) façonnés avec élégance
-Études techniques intégrées : implantation, orientation solaire, optimisation énergétique et conformité réglementaire, pensées dans le respect du paysage de Lorgues
2)Phase administrative
-Constitution et dépôt des Permis de Construire et autorisations d’urbanisme, démarches assurées par notre agence d’architecte à Lorgues
-Suivi des échanges avec les services instructeurs et collectivités locales, dans une écoute constante et respectueuse du territoire
3)Phase réalisation
-Assistance à la consultation des entreprises
-Maîtrise d’œuvre d’exécution : direction et coordination des chantiers orchestrées par notre atelier d’architecte à Lorgues
-Suivi technique, contrôle qualité et conformité des ouvrages, pour des réalisations fidèles aux ambitions initiales
-Assistance à la réception, où notre bureau d’architecte à Lorgues veille à parfaire chaque détail.
4)Aménagement intérieur et finitions
-Études d’agencement et sélection de matériaux nobles
-Conseil en design et optimisation des espaces, portés par la sensibilité de notre agence d’architecte à Lorgues qui relie volumes, lumière et vie quotidienne
III)Typologie de projets
Notre atelier d’architecte à Lorgues met son savoir-faire au service de toutes les échelles :
-Résidentiel : villas individuelles, résidences collectives, extensions harmonieuses
-Tertiaire et commercial : bureaux, commerces, restaurants et hôtellerie de caractère
-Réhabilitation et restructuration : mises en conformité, amélioration énergétique, valorisation sensible du patrimoine
IV)Méthodologie et engagement
-Respect des réglementations (urbanisme, accessibilité, normes énergétiques et environnementales)
-Optimisation des coûts et suivi rigoureux des budgets
-Engagement qualité : durabilité, respect des délais et excellence technique
-Approche architecturale fondée sur l’harmonie des volumes, la richesse de la lumière naturelle et l’intégration paysagère
V)Localisation et références
Avec une expérience confirmée dans la commune et ses alentours, notre agence d’architecte à Lorgues s’impose comme un acteur attentif et passionné du territoire provençal. Projets résidentiels et professionnels déjà réalisés témoignent de cette relation profonde entre lieu, mémoire et création.
Avec de nombreuses années d'expériences, nous pourrons réaliser la conception de votre maison, villa, immeuble...
